Bescherming van koraalecosystemen dankzij de valorisatie van koraalpuin.

Lien avec la Fondation

Aether : zeeën en rivieren beschermen

Water

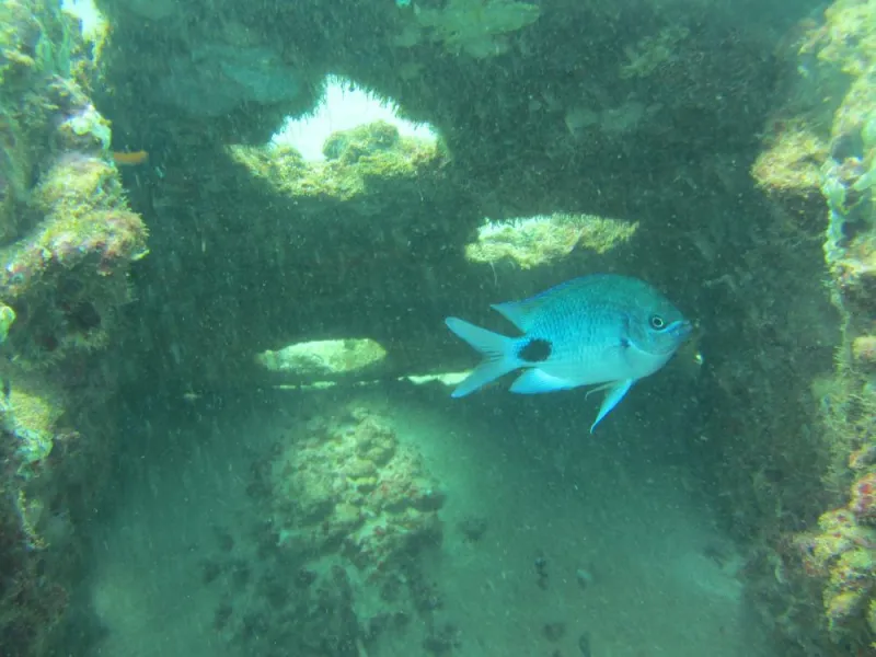
Naar schatting is 20% van de koraalriffen wereldwijd vernietigd, zonder uitzicht is op onmiddellijk herstel. In de eerste plaats door klimaatverandering en bijhorende extreme weersomstandigheden zoals opwarmend zeewater, maar ook door overbevissing en de verzuring van de oceanen, bleekt, breekt en sterft koraal af massaal. Een schadelijke consequentie hiervan is dat het afgebrokkelde koraal, koraalpuin genaamd, zich opstapelt op de zeebodem en door de golven heen en weer wordt geschud. Dit alles heeft een destructief effect op de mariene biodiversiteit in en rond de koraalriffen, terwijl dit vroeger een van de meest rijke en productieve ecosystemen waren. Een van de zwaarst getroffen koraalriffen van die van Madagaskar. Een bijkomend socio-economische effect is dat de Malagassische vissersgemeenschappen, die sterk afhankelijk zijn van deze biodiversiteit, nu ook onder druk komen te staan.

Om deze problemen tegen te gaan, ontwikkelde Faustinato Behivoke, een oud-student aan het Institut Halieutique et des Sciences Marines in Madagaskar, een innovatief concept op basis van de valorisatie van koraalpuin, namelijk “Fishes Banking Ecotechnology®”. Met koraalpuin als basisbestanddeel worden nieuwe artificiële koraalstructuren ontwikkeld die dienst doen als habitat voor verschillende mariene soorten. Levende koraalstekken worden op deze structuren getransplanteerd om de ecologische efficiëntie ervan te verhogen. Naast vele soorten vissen, trekken deze structuren ook nieuwe koraallarven aan die zich vasthechten, waardoor deze artificiële koralen als het ware opnieuw tot leven komen.

Een pilootproject rond deze eco-technologie met de Malagasische kustgemeenschap werd opgezet door Gildas Todinanahary, Oceanoloog aan de Universiteit van Toliara (Madagaskar), en Igor Eeckhout Directeur van het Laboratoire de biologie des organismes marins et biomimétisme aan de Universiteit van Mons. Samen zijn ze actief bij de interuniversitaire Polyaquaculture Research Unit. De resultaten zijn alvast veelbelovend. De stucturen worden intussen bewoond door een groot aantal diverse soorten fauna en flora. Het project word nu op grotere schaal verdergezet dankzij een samenwerking met de lokale vissersgemeenschap. Andere opties met de “Fishes Banking Ecotechnology®” worden verder onderzocht.

Gildas Todinanahary sleepte in 2017 al een nominatie voor de HERA Doctoral Thesis Award for Future Generations in de wacht voor zijn doctoraat rond koraalbescherming en koraalteelt aan de UMons onder begeleiding van Igor Eeckhout.

België